Mua bán bất động sản
16 PHÒNG TRỌ - 666M² - SHR - HXH ĐƯỜNG 11 LINH XUÂN
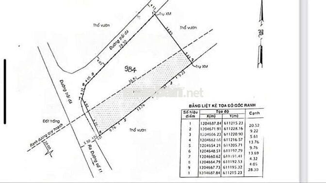
1/4

16 PHÒNG TRỌ - 666M² - SHR - HXH ĐƯỜNG 11 LINH XUÂN

23,8 tỷ
Phường Linh Xuân, TP. Thủ Đức - Quận Thủ Đức, TP.HCM
Cập nhật: 21/09/2025
Đất mặt tiền hẻm 204 đường 11 linh xuân, hẻm lớn xe tải tương lai ra mặt tiền đường 20m. Sát bên trung tâm hành chính sầm uất nhất dĩ an.
- Lô góc 2 mặt tiền, DT công nhận 666,6m² thổ cư 391,3m, Trên đất có sẵn 16 phòng trọ thu nhập 25 triệu
- Đất phù hợp xây căn hộ DV, biệt thự vườn, kho xưởng, phân lô...
💰Giá bán 23,8 tỷ
Liên hệ ☎️
Thông tin cơ bản
Lưu tin
Chia sẻ
Báo vi phạm
Ngày bắt đầu21/09/2025
Ngày hết hạn05/10/2025
Mã tin70088993

Tin đăng tương tự

Nhà vườn bán đất tặng nhà đường lớn 658m2 full Thổ Linh Xuân đường 5m6

Nhà vườn bán đất tặng nhà đường lớn 658m2 full Thổ Linh Xuân đường 5m

NHÀ VƯỜN DT 658M2 NGANG 12M FULL THỔ CƯ, HXH 5M SÁT NGAY  ĐẠI HỌC QUỐC GIA GIÁ CHỈ 36Tr/M2 TL ______________________________________ Diện tích: 658m2 ngang 12m dài 55m full thổ cư không quy hoạch không lộ giới- Sân vườn rộng mênh mông thoáng mát,
658 m²
23,8 tỷ
18/09/2025
Phường Linh Xuân,TP. Thủ Đức - Quận Thủ Đức,TP.HCM
Đất 330m² tặng Biệt thự 2T Hoàng Diệu 2 Thủ Đức – chỉ 23.5 tỷ7

Đất 330m² tặng Biệt thự 2T Hoàng Diệu 2 Thủ Đức – chỉ 23.5 tỷ

MUA ĐẤT TẶNG BIỆT THỰ 2 TẦNG – ĐƯỜNG HOÀNG DIỆU 2, THỦ ĐỨC – 330m² – GIÁ CHỈ 23.5 TỶ Diện tích: 330m² (12 x 18.5/22.5m), công nhận 200m² thổ cư, 130m² CLN. Hiện trạng: Biệt thự 2 tầng ~160m², thiết kế sang trọng, có sân vườn thoáng mát. Nhà đang
330 m²
23,5 tỷ
13/09/2025
Phường Linh Trung,TP. Thủ Đức - Quận Thủ Đức,TP.HCM
BÁN ĐẤT, NHÀ C4, GẦN VÀNH ĐAI 2 KHA VẠN CÂN3

BÁN ĐẤT, NHÀ C4, GẦN VÀNH ĐAI 2 KHA VẠN CÂN

BÁN ĐẤT, NHÀ C4, GẦN VÀNH ĐAI 2 KHA VẠN CÂN - Đường trước nhà 5m, gần vành đai 2, Kha Vạn Cân, - Diện tích đất: 417m2, nở hậu 22m - Nhà cấp 4 tặng kèm. Tiện xây mới. - Khu vực sát Kha Vạn Cân, Sát Vành Đai 2 chuẩn bị xây. - Phù hợp đầu tư hoặc làm
417 m²
24 tỷ
29/08/2025
Phường Linh Đông,TP. Thủ Đức - Quận Thủ Đức,TP.HCM
SIÊU PHẨM 230M VUÔNG NGAY ĐẠI HỌC LUẬT8

SIÊU PHẨM 230M VUÔNG NGAY ĐẠI HỌC LUẬT

cần bán 229m2 đất . Đã có thổ cư. Gpxd Ngay đại học luật.chợ bình triệu . Thuận tiện đi cac hướng trung tâm.sân bay Khu dân cư yên tĩnh .an ninh. Hẻm xe hơi Phù hợp xây nhà ở hoặc đầu tư Tiềm năng tăng trưởng lớn Lh ***
229 m²
24 tỷ
21/08/2025
Phường Hiệp Bình Chánh,TP. Thủ Đức - Quận Thủ Đức,TP.HCM
Nhắn tin
Gọi ngay
CÔNG TY CỔ PHẦN ĐỊNH ANH
MST: 0100255844, cấp ngày 11/12/2008
Văn phòng giao dịch:
  • A35 Nam Quang 2, P.Tân Phong, Quận 7, TPHCM
  • 38 Cửa Đông, P.Cửa Đông, Quận Hoàn Kiếm, Hà Nội