Mua bán bất động sản
Nhà trệt 2 phòng ngủ đường C1 KDC Phú An
1/11

Nhà trệt 2 phòng ngủ đường C1 KDC Phú An

2,49 tỷ
Phường Phú Thứ, Quận Cái Răng, Cần Thơ
Cập nhật: 21/10/2025
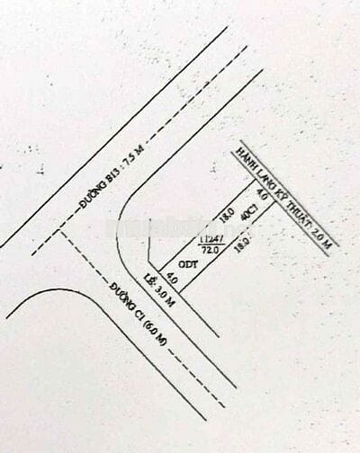
(CG) BÁN NHÀ TRỆT ĐƯỜNG C1 KDC PHÚ AN - PHƯỜNG HƯNG PHÚ - CẦN THƠ

👉 Giá bán: 2 tỷ 490 triệu

- Diện tích: 4 x 18 = 72m2 ODT (hẻm kỹ thuật 2m). Sổ hồng thổ cư
- Hướng: Tây Nam
- Lộ giới: 12m
- Kết cấu: sân trước có cổng rào, 2 phòng ngủ, bếp, 2 wc , cửa sau

📍Vị trí nhà : Sáng đẹp giáp căn góc phù hợp kinh doanh mở VP tại nhà & định cư lâu dài

Liên hệ: *** Linh
Thông tin cơ bản
Lưu tin
Chia sẻ
Báo vi phạm
Ngày bắt đầu21/10/2025
Ngày hết hạn04/11/2025
Mã tin70236832

Tin đăng dành cho bạn

Bán nhà cấp 4 hoàn công mặt tiền đường Hàng Gòn (cặp sông Cái Răng Bé)11

Bán nhà cấp 4 hoàn công mặt tiền đường Hàng Gòn (cặp sông Cái Răng Bé)

- Diện tích: 100m² (4x25m). - Pháp lý: Thổ cư hoàn công 80m², CLN 20m². - Hướng: Đông. - Đường đi: 6m. - Số phòng: Sân đậu xe ô tô, 1 phòng khách, 2 phòng ngủ, 1 phòng bếp, 1 vệ sinh. - Tiện ích: Không bị ngập, hàng xóm thân thiện, khu đông dân cư,
100 m²
2 PN
1 WC
2,4 tỷ
25/09/2025
Phường Thường Thạnh,Quận Cái Răng,Cần Thơ
🌟 NHÀ THÔNG MINH – TRUNG TÂM CẦN THƠ 🌟5

🌟 NHÀ THÔNG MINH – TRUNG TÂM CẦN THƠ 🌟

🌟 NHÀ THÔNG MINH – TRUNG TÂM CẦN THƠ 🌟 💰 Giá 2 tỷ 2 🏦 Hỗ trợ vay 70% lãi thấp 🔥Đầy đủ tiện ích: ✔️ Siêu thị GO, Vinmart ✔️ Trường học, bệnh viện ✔️ Hồ bơi, phòng gym, nhà hàng – cafe 🏠 Bàn giao nội thất cao cấp 📑 Pháp lý: Sổ hồng riêng – lộ
70 m²
2 PN
2 WC
2,2 tỷ
23/09/2025
Phường Hưng Phú,Quận Cái Răng,Cần Thơ
🔥 NHÀ ĐẸP GIÁ TỐT – TRUNG TÂM KDC HƯNG PHÚ 2 🔥4

🔥 NHÀ ĐẸP GIÁ TỐT – TRUNG TÂM KDC HƯNG PHÚ 2 🔥

🔥 NHÀ ĐẸP GIÁ TỐT – TRUNG TÂM KDC HƯNG PHÚ 2 🔥 📍 Vị trí đắc địa: Đối diện Nam Long – cạnh siêu thị GO! 🏡 Giá chỉ 2 TỶ 5 – Sở hữu ngay căn nhà hiện đại ngay trung tâm Cần Thơ! ✨ Lý do nên chọn: • Kiến trúc sang trọng, không gian thoáng – chỉ
70 m²
2 PN
2 WC
2,5 tỷ
22/09/2025
Phường Hưng Phú,Quận Cái Răng,Cần Thơ
🔥 *** – NHÀ HIỆN ĐẠI NGAY TRUNG TÂM KDC HƯNG PHÚ 2 – ĐỐI DIỆN NAM3

🔥 *** – NHÀ HIỆN ĐẠI NGAY TRUNG TÂM KDC HƯNG PHÚ 2 – ĐỐI DIỆN NAM

🔥 *** – NHÀ HIỆN ĐẠI NGAY TRUNG TÂM KDC HƯNG PHÚ 2 – ĐỐI DIỆN NAM LONG 🔥 💰 Chỉ 2 TỶ 5 – Giá “không tưởng” cho vị trí vàng trung tâm Cần Thơ! 🏡 Điểm nhấn khác biệt: ✨ Vị trí kim cương: liền kề siêu thị GO!, gần bệnh viện, công viên, trường học
70 m²
2 PN
2 WC
2,5 tỷ
18/09/2025
Phường Hưng Phú,Quận Cái Răng,Cần Thơ
📣 NHÀ MỚI XÂY HIỆN ĐẠI - GẦN SIÊU THỊ GO5

📣 NHÀ MỚI XÂY HIỆN ĐẠI - GẦN SIÊU THỊ GO

📣 NHÀ MỚI XÂY HIỆN ĐẠI - GẦN SIÊU THỊ GO 📍 Vị trí vàng : gần TTTM GO!, cách Khu Hành Chính Mới chỉ 600m, hệ thống bệnh viện và trường học. 🏡 Khu dân cư hiện hữu, kết nối hạ tầng hoàn thiện, tiện ích xung quanh đầy đủ, an ninh tốt ✨ Tiện nghi
70 m²
2 PN
2 WC
2,3 tỷ
18/09/2025
Phường Hưng Phú,Quận Cái Răng,Cần Thơ
🏡 BÁN NHÀ ĐẸP GẦN SIÊU THỊ GO CHỈ 2 TỶ 3 – TRUNG TÂM TP. CẦN THƠ4

🏡 BÁN NHÀ ĐẸP GẦN SIÊU THỊ GO CHỈ 2 TỶ 3 – TRUNG TÂM TP. CẦN THƠ

🏡 BÁN NHÀ ĐẸP GẦN SIÊU THỊ GO – TRUNG TÂM TP. CẦN THƠ ✨ Diện tích: 75m2 – thiết kế vuông vức, tối ưu công năng ✨ Giá chỉ: 2 tỷ 3 ✨ Hạ tầng hoàn chỉnh: Lộ nhựa 13m, ô tô vào tận nhà ✨ Ngân hàng VCB hỗ trợ vay – thẩm định nhanh – lãi suất ưu đãi 🔥
75 m²
2 PN
2 WC
2,3 tỷ
18/09/2025
Phường Hưng Phú,Quận Cái Răng,Cần Thơ
Nhắn tin
Gọi ngay
CÔNG TY CỔ PHẦN ĐỊNH ANH
MST: 0100255844, cấp ngày 11/12/2008
Văn phòng giao dịch:
  • A35 Nam Quang 2, P.Tân Phong, Quận 7, TPHCM
  • 38 Cửa Đông, P.Cửa Đông, Quận Hoàn Kiếm, Hà Nội