Mua bán bất động sản
  1. Trang chủ
  2. Bất động sản
  3. Cho thuê
  4. TP.HCM
  5. Quận Bình Thạnh
  6. Phường 5
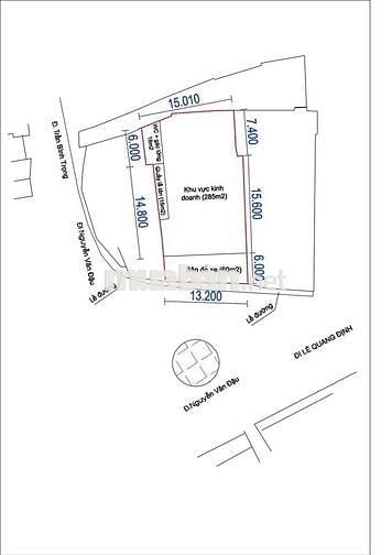
  7. Cho Thuê Mặt Bằng Kinh Doanh Mặt Tiền Trần Bình Trọng – P.5 Bình Thạnh
Cho Thuê Mặt Bằng Kinh Doanh Mặt Tiền Trần Bình Trọng – P.5 Bình Thạnh
1/5

Cho Thuê Mặt Bằng Kinh Doanh Mặt Tiền Trần Bình Trọng – P.5 Bình Thạnh

132 triệu/tháng
Phường 5, Quận Bình Thạnh, TP.HCM
Cập nhật: 57 phút trước
📍 Vị trí đắc địa – phù hợp mọi loại hình kinh doanh

Mặt bằng nằm ngay mặt tiền đường Trần Bình Trọng, khu vực đông dân cư, lưu lượng xe cộ lớn, tập trung nhiều cửa hàng – showroom – quán ăn – dịch vụ.
Đảm bảo tầm nhìn đẹp, dễ nhận diện thương hiệu, thuận tiện kinh doanh dài hạn.

📐 Thông tin mặt bằng

Diện tích tổng thể:

Ngang: 13,5m (nở hậu 15,5m)

Dài: 28,5m

Kết cấu khuôn đất rộng rãi, vuông vức, phù hợp thiết kế theo từng mô hình:

Phù hợp kinh doanh:

Chuỗi F&B – nhà hàng – cafe diện tích lớn

Showroom nội thất – điện máy – thời trang

Siêu thị mini, nhà thuốc

Gym – spa – trung tâm đào tạo

Văn phòng công ty hoặc kho kết hợp trưng bày

💰 Giá cho thuê

132.000.000 VND / tháng
(Thương lượng thêm cho khách thiện chí, hợp đồng dài hạn)

⭐ Ưu điểm nổi bật

Mặt tiền rộng, hiếm có tại trung tâm Bình Thạnh

Đường lớn, xe tải ra vào dễ dàng

Dựng biển hiệu, branding cực kỳ đẹp

Khu dân cư đông đúc, an ninh, sầm uất

Giao thông kết nối nhanh sang Phú Nhuận – Quận 1 – Bạch Đằng – Đinh Tiên Hoàng
Thông tin cơ bản
Lưu tin
Chia sẻ
Báo vi phạm
Ngày bắt đầu01/12/2025
Ngày hết hạn15/12/2025
Mã tin70407354

Tin đăng dành cho bạn

Cho thuê nhà Mặt Tiền 38 Huỳnh Đình Hai, Hầm 7 Lầu

Cho thuê nhà Mặt Tiền 38 Huỳnh Đình Hai, Hầm 7 Lầu

Chính chủ cho cho thuê tòa nhà Mặt Tiền 38 Huỳnh Đình Hai, phường 14, Bình Thạnh Giá thuê: 170tr ( thương lượng) Diện tích đất: ngang 10,5m x dài 22,05m DTSD: 1285m2 Kết cấu: 6 tầng, 1 hầm, 1 lửng Toà nhà có thang máy và thang hàng riêng.
230 m²
18 PN
18 WC
170 triệu/tháng
29/11/2025
Phường 14,Quận Bình Thạnh,TP.HCM
CHO THUÊ NHÀ MẶT TIỀN 2C13 TRƯỜNG SA F19-Toà Marina Số 2 Tôn Đức Thắng12

CHO THUÊ NHÀ MẶT TIỀN 2C13 TRƯỜNG SA F19-Toà Marina Số 2 Tôn Đức Thắng

DT: 7×20m – Kết cấu: Hầm, Trệt, Lửng, 3 Lầu. Sàn trống suốt, cầu thang & thang máy cuối nhà, mỗi lầu có WC nam – nữ riêng. Trang bị: Thang máy, hệ thống PCCC, máy lạnh đầy đủ Giá: 5.000 USD/tháng Giá:145tr NHÀ MỚI - VỊ TRÍ CỰC ĐẸP Phù hợp: văn
140 m²
5 PN
145 triệu/tháng
29/11/2025
Phường 19,Quận Bình Thạnh,TP.HCM
CHO THUÊ NHÀ MẶT TIỀN 2C13 TRƯỜNG SA F19-Toà Marina Số 2 Tôn Đức Thắng13

CHO THUÊ NHÀ MẶT TIỀN 2C13 TRƯỜNG SA F19-Toà Marina Số 2 Tôn Đức Thắng

Đ/c: 2C13 Trường Sa, Phường 19, Bình Thạnh DT: 7×20m – Kết cấu: Hầm, Trệt, Lửng, 3 Lầu. Sàn trống suốt, cầu thang & thang máy cuối nhà, mỗi lầu có WC nam – nữ riêng. Trang bị: Thang máy, hệ thống PCCC, máy lạnh đầy đủ Giá: 5.000 USD/tháng Giá:145tr
140 m²
145 triệu/tháng
28/11/2025
Phường 19,Quận Bình Thạnh,TP.HCM
Cho Thuê Nhà Mặt Tiền : 2-4-6 Trần Bình Trọng, Phường 5, Bình Thạnh4

Cho Thuê Nhà Mặt Tiền : 2-4-6 Trần Bình Trọng, Phường 5, Bình Thạnh

Cho Thuê Nhà Mặt Tiền : 2-4-6 Trần Bình Trọng, Phường 5, Bình Thạnh, TPHCM. - Diện tích : 14m/ 550m2 - Kết cấu : 1 trệt trống suốt - Giá cho thuê : 167 triệu/tháng - Thời hạn cho thuê : 5 năm/ TÁI KÝ - Thời gian nhận nhà : Tháng 01/2026 - Vị trí :
550 m²
167 triệu/tháng
25/11/2025
Phường 5,Quận Bình Thạnh,TP.HCM
chdv full nt bình thạnh lời 60tr sang 9xx7

chdv full nt bình thạnh lời 60tr sang 9xx

SANG NHƯỢNG NHÀ CHDV CAO CẤP – UNG VĂN KHIÊM, BÌNH THẠNH 💸 Giá sang: 600 triệu (đã bao gồm toàn bộ chi phí đầu tư) 💰 Chưa gồm cọc chủ: 320 triệu 💵 Giá thuê: 100 triệu/tháng 📑 Hợp đồng 5 năm – ký mới trực tiếp với chủ nhà 🏗 Kết cấu: 1 hầm để xe
80 m²
11 PN
7 WC
100 triệu/tháng
14/11/2025
Phường 25,Quận Bình Thạnh,TP.HCM
sang nhượng CHDV trên đường Ung văn khiêm11

sang nhượng CHDV trên đường Ung văn khiêm

Cần tiền nên sang nhượng căn hộ dịch vụ số 31 đường ung văn khiêm, giá sang nhượng 6 0 0tr chưa bao gồm cọc chủ nhà. Nhà gồm 2 mặt bằng, 1 trệt đang cho thuê 25tr 1 sân thượng đang trống 24 căn hộ lớn 25 tới 30m2 Giá thuê 100tr hd 5 năm ký mới chủ
123 m²
11 PN
7 WC
100 triệu/tháng
11/11/2025
Phường 25,Quận Bình Thạnh,TP.HCM
Nhắn tin
Gọi ngay
CÔNG TY CỔ PHẦN ĐỊNH ANH
MST: 0100255844, cấp ngày 11/12/2008
Văn phòng giao dịch:
  • A35 Nam Quang 2, P.Tân Phong, Quận 7, TPHCM
  • 38 Cửa Đông, P.Cửa Đông, Quận Hoàn Kiếm, Hà Nội