Mua bán bất động sản
  1. Trang chủ
  2. Bất động sản
  3. Mua bán
  4. TP.HCM
  5. Quận 8
  6. Khu Dân Cư Cao Lỗ ChoLonRes
  7. Nhỉnh 13tỷ Sở hữu ngay NNC Khu Cao Lỗ Q8. (4X20) SHR Hoàn công 4Tầng
Nhỉnh 13tỷ Sở hữu ngay NNC Khu Cao Lỗ Q8. (4X20) SHR Hoàn công 4Tầng
1/11

Nhỉnh 13tỷ Sở hữu ngay NNC Khu Cao Lỗ Q8. (4X20) SHR Hoàn công 4Tầng

13,5 tỷ
MẶT TIỀN, MẶT TIỀN, Quận 8, TP.HCM
Cập nhật: 07/11/2025
Tin này đã hết hạn nhưng có thể vẫn còn giá trị giao dịch hoặc tham khảo.
Hãy sử dụng công cụ tìm kiếm để tìm những tin đăng mới nhất.
🔵 Bán nhà nguyên căn mặt tiền đường nội bộ, KDC Cao Lỗ P4, Quận 8, TP. HCM.
- Địa chỉ: Đường trước nhà 16m, Không ngập nước, cách đường chính Cao Lỗ 80m, TTTM ParC Mall 150m, trường Đại học Công Nghệ Sài Gòn, Bệnh viện Quận 8, gần chợ, cầu Chánh Hưng, Nhà thờ Nam Hải, ô tô tải đỗ cửa, ngủ trong nhà... Giao thông thuận lợi, dễ dàng kết nối các quận trung tâm chỉ mất 5 - 10 phút...
- Khu dân cư phát triển đồng bộ, an ninh, dân trí cao.... nơi đáng sống, ổn định lâu dài
- Nhà được thiết kế độc lạ, thông thoáng, lấy ánh sáng và gió tự nhiên... rất thích hợp cho gia đình sinh sống và an cư lập nghiệp.
----------------------------------------
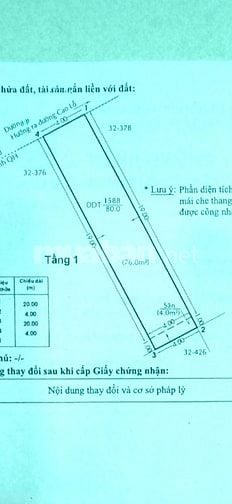
- Diện tích: 4m x 20m = 80m2.
- DTSD: 258,1m2.
- Hiện trạng: 1 trệt, 3 lầu. Có 5 phòng ngủ, 4WC.
- Hướng Tây Bắc
- Pháp lý: Sổ hồng riêng, hoàn công đủ (09/2025), an tâm giao dịch.
- Giá: 13 tỷ 500 triệu (GIÁ CHỐT - cho Khách thiện chí).
- Liên hệ: Tel/Zalo: *** Quang Phú.
-----------------------------------------
* Chúng tôi còn có nhiều căn nhà đẹp giá tốt ở Quận 8 cùng khu vực cần bán... Anh, chị quan tâm vui lòng gọi chúng tôi để được tư vấn và xem nhà thực tế.

* Nhận ký gửi BĐS thuê, cho thuê & chuyển nhượng ở TP. HCM.
* Cảm ơn anh, chị đã xem tin! *.
Thông tin cơ bản
Điểm nổi bật
  • Mặt tiền
  • Tiện làm văn phòng
  • Tiện kinh doanh
  • Nhà liền kề
  • Giao nhà ngay
Lưu tin
Chia sẻ
Báo vi phạm
Ngày bắt đầu07/11/2025
Ngày hết hạn17/11/2025
Mã tin70313531

Tin đăng dành cho bạn

MẶT TIỀN ĐƯỜNG ĐÔI CAO LỖ – NHÀ 4 TẦNG- VIEW CÔNG VIÊN & P. CHÁNH HƯNG5

MẶT TIỀN ĐƯỜNG ĐÔI CAO LỖ – NHÀ 4 TẦNG- VIEW CÔNG VIÊN & P. CHÁNH HƯNG

- MẶT TIỀN ĐƯỜNG ĐÔI CAO LỖ – NHÀ 4 TẦNG – VIEW CÔNG VIÊN- DÂN TRÍ CAO – GẦN AEON & BV CHÁNH HƯNG - Diện tích: 63m² (4.2 x 15,8m) – công nhận đủ, không lộ giới. - Kết cấu: Nhà 4 tầng BTCT kiên cố. - Công năng : 5 phòng ngủ, 3 WC, Phòng
63 m²
5 PN
5 WC
13,5 tỷ
25/11/2025
Phường 4,Quận 8,TP.HCM
Nhà Mặt Tiền Nội Bộ Cảm Lổ P4 Q8 DT 4x15m57 . 2 lầu sân thượng12

Nhà Mặt Tiền Nội Bộ Cảm Lổ P4 Q8 DT 4x15m57 . 2 lầu sân thượng

🏠MÔ TẢ: Nhà Mặt Tiền Đường Nội Bộ ✅ Diện tích 63m2, ngang 4m dài 15,75m công nhận đủ, không lộ giới ✅ Kết cấu: Nhà 4 tầng BTCT kiên cố không một vết nứt ✅ Công năng: 5 phòng ngủ, 3WC , bếp, phòng thờ, sân thượng, phòng khách rộng rãi, xe hơi ngủ
63 m²
5 PN
3 WC
13,5 tỷ
25/11/2025
Phường 4,Quận 8,TP.HCM
Nhà  4 Tầng Mặt Tiền Cao Lỗ Q8, Xe Hơi Vào Nhà, Gần AEON, Chỉ 13,5 Tỷ12

Nhà 4 Tầng Mặt Tiền Cao Lỗ Q8, Xe Hơi Vào Nhà, Gần AEON, Chỉ 13,5 Tỷ

căn nhà mặt tiền 4 tầng ngay Cao Lỗ – Chánh Hưng, Quận 8 – vị trí ở quá đẹp, kinh doanh quá ngon. Diện tích: 4m x 15,75m, 63m², sử dụng lên tới 255m². Kết cấu: 4 tầng kiên cố, 5PN, 3WC, phòng khách rộng, bếp sạch sẽ, sân thượng, phòng thờ; xe hơi
63 m²
5 PN
3 WC
13,5 tỷ
25/11/2025
Phường 4,Quận 8,TP.HCM
Nhà Mặt Tiền gần Parc Mall Q8, Ngan 4m dài 17,5m, Dòng tiền 18tr/thang14

Nhà Mặt Tiền gần Parc Mall Q8, Ngan 4m dài 17,5m, Dòng tiền 18tr/thang

NHÀ 4 TẤM SÁT PARC MALL QUẬN 8 - MẶT TIỀN ĐƯỜNG 14M KINH DOANH  - Dòng Tiền 18tr/th - Cao Lỗ, Phường 4, Quận 8. - DT: 4m x 17,5m - Giá : 13 Tỷ 500 TL Mô tả : - Kết cấu: 1 trệt, 2 lầu + 1 Thượng - Gồm 4PN, 3toilet, bếp, phòng khách, sân thượng
70 m²
4 PN
3 WC
13,5 tỷ
22/11/2025
Phường 4,Quận 8,TP.HCM
Bán nhà khu cao lỗ Q8 4x20 đối diện công viên đồng diều Q813

Bán nhà khu cao lỗ Q8 4x20 đối diện công viên đồng diều Q8

- Bán nhà đối diện công viên khu dân cư Cao Lỗ Q8. - Kết cấu 1 trệt 2 lầu sân thượng sân sau. - 4x20 có cửa sau thoát hiểm. - Sổ hồng đầy đủ công chứng trong ngày. - Nhà mặt tiền đường lớn. - Trung tâm thương mại sát bên Aeon 500m Q8. - Giá 14
80 m²
8 PN
8 WC
14 tỷ
14/11/2025
Phường 4,Quận 8,TP.HCM
Nhà mặt tiền kinh doanh Liên Tỉnh 5,P5, Q8 80m2 Ngan 3,6m nở hậu 3,7,7

Nhà mặt tiền kinh doanh Liên Tỉnh 5,P5, Q8 80m2 Ngan 3,6m nở hậu 3,7,

Giá bán 13.5 tỷ 🌾🌾 - MẶT TIỀN LIÊN TỈNH 5 KHU KINH DOANH VIP PHƯỜNG 5 QUẬN 8 - DT: 80,1m2 ( 3,66m x 21m ) Nở hậu 3,7 Lh: Khánh 👉 Mô tả: - Kết cấu : 1 Trệt, 3 Lầu +sân thượng, 5 phòng ngủ 3 vệ sinh  - Mặt tiền phía trước đang cho người quen thuê
80.1 m²
5 PN
3 WC
13,5 tỷ
05/11/2025
Phường 5,Quận 8,TP.HCM
Nhắn tin
Gọi ngay
CÔNG TY CỔ PHẦN ĐỊNH ANH
MST: 0100255844, cấp ngày 11/12/2008
Văn phòng giao dịch:
  • A35 Nam Quang 2, P.Tân Phong, Quận 7, TPHCM
  • 38 Cửa Đông, P.Cửa Đông, Quận Hoàn Kiếm, Hà Nội